首页
厂房信息
库房信息
土地信息
写字楼信息
一手园区
求租求购
新闻资讯
登录
首页 >
厂房信息
> 通州区光机电一体化产业基地管委会出让
通州区光机电一体化产业基地管委会出让
编号:WS_1537430065 更新时间: 2018/9/20 15:54:25
占地面积:
16645.23平米
建筑面积:
7272.69
平米
办公面积:
车间面积:
供求类型:
转让
参考价格:
面议
所在区域:
通州区-其他
通州区光机电一体化产业基地
刘先生
13301354309
享有更多服务,成为网站会员 18501066906
详细信息
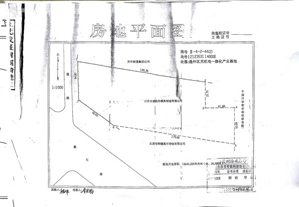
位于通州区光机电一体化产业基地管委会出让,工业用地,土地面积16645.226平米,建设面积7272.69平米,有土地证、房产证、建设用地规划许可证、建设工程规划许可证、建筑工程施工许可证等,有意者欢迎来电洽谈!中介广告勿扰!
图片展示
最新厂房
(出租)中关村延庆园内70..
7000 平米
(出租)独院出租,内有楼..
4500 平米
(出租)燕郊行宫西大街独..
340 平米
丰台区杜家坎公交站东20..
0 亩
(出租)位于六环路出口,..
1550 平米
(出租)北京大兴利童食品..
2500 平米
(出租)出租北京周边怀来..
2000 平米
延庆区延庆镇莲花池村有..
3000 平米
北京市延庆区康庄镇厂库..
37 亩
江西省上饶市广丰区洋口..
5300 平米
推荐房源
河北省大厂..
其他
-北京周边
面积:5.00 亩
房山区青龙..
青龙湖镇
-房山区
面积:6000.00 平米
通州联东U..
马驹桥
-通州区
面积:1000.00 平米
沧州任丘市..
其他
-北京周边
面积:10000.00 平米
天津市宁河..
其他
-北京周边
面积:1000.00 平米